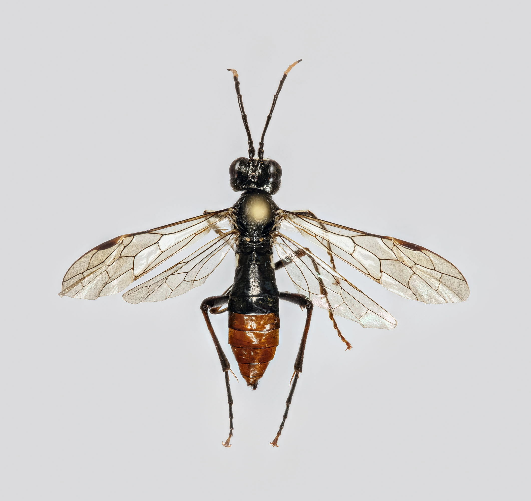
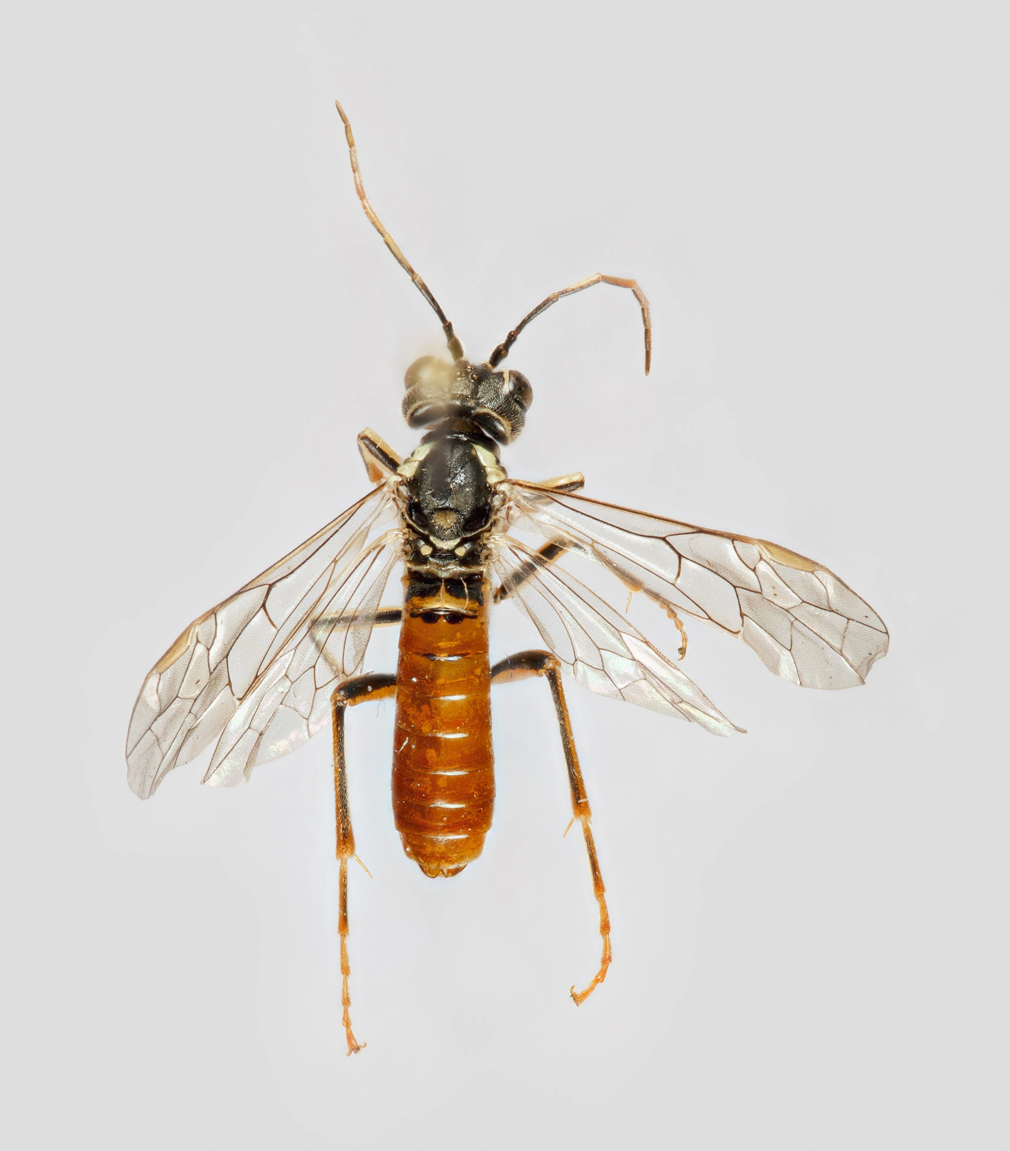
bladvepser Tenthredinidae
Klassifisering
-
- Dyreriket Animalia Rike
- Leddyr Arthropoda Rekke
- Insekter Insecta Klasse
- Vepser Hymenoptera Orden
- Plantevepser Symphyta Underorden
- Tenthredinoidea Overfamilie
- bladvepser Tenthredinidae Familie
- Vitenskapelig navn
- Tenthredinidae
-
Bokmål
- bladvepser
-
Nynorsk
- bladvepser
-
Gå til navnetreet
Registrerte observasjoner
Prikkene markerer registrerte funn av arten/artsgruppen.
Bilder