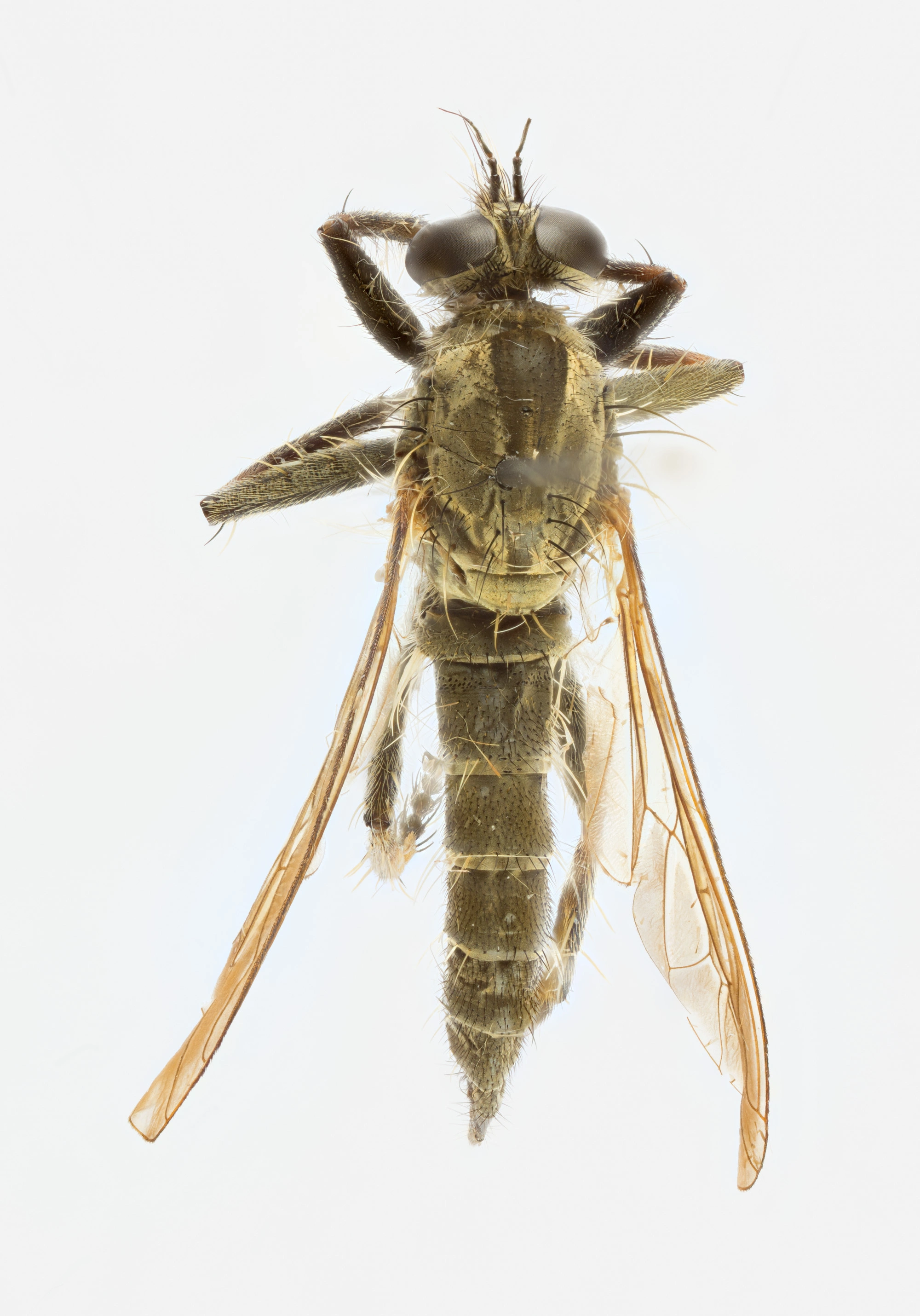
skjeggrovfluer Machimus
Klassifisering
-
- Dyreriket Animalia Rike
- Leddyr Arthropoda Rekke
- Insekter Insecta Klasse
- Tovinger Diptera Orden
- Rovfluer Asilidae Familie
- skjeggrovfluer Machimus Slekt
- Vitenskapelig navn
- Machimus
-
Bokmål
- skjeggrovfluer
-
Nynorsk
- skjeggrovfluger
-
Gå til navnetreet
Registrerte observasjoner
Prikkene markerer registrerte funn av arten/artsgruppen.