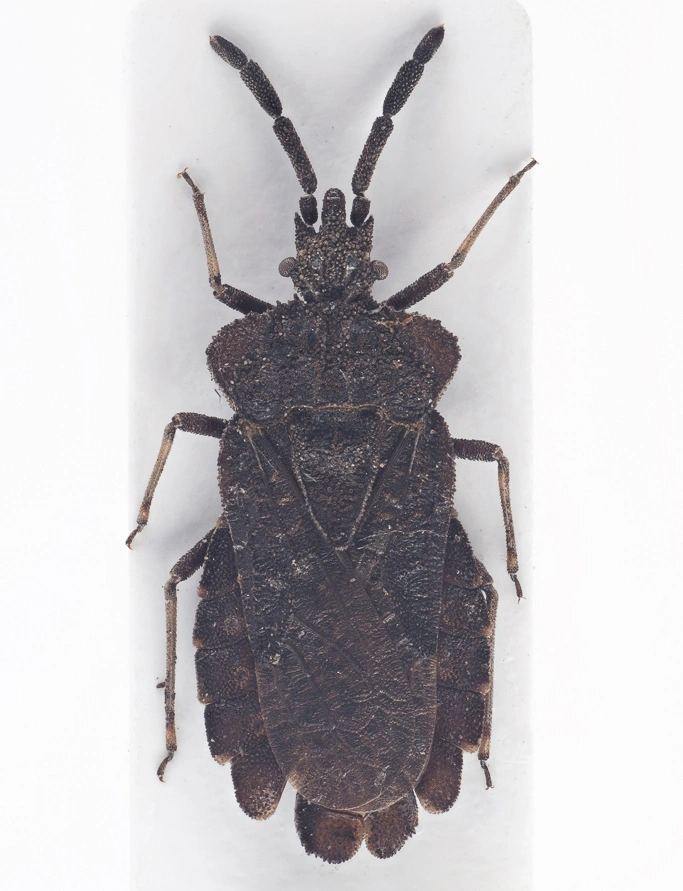
barkteger Aradidae
Klassifisering
-
- Animalia Rike
- Leddyr Arthropoda Rekke
- Insekter Insecta Klasse
- Nebbmunner Hemiptera Orden
- Teger Heteroptera Underorden
- Pentatomomorpha Infraorden
- Aradoidea Overfamilie
- barkteger Aradidae Familie
- Vitenskapelig navn
- Aradidae
-
Bokmål
- barkteger
-
Nynorsk
- borkteger
-
Gå til navnetreet
Registrerte observasjoner
Prikkene markerer registrerte funn av arten/artsgruppen.